Vários países, que fazem parte da Iniciativa Internacional dos Recifes de Coral (ICRI), comprometeram-se a um financiamento de 12 mil milhões de dólares, cerca de 11,5 mil milhões de euros, para a proteção de recifes de coral.
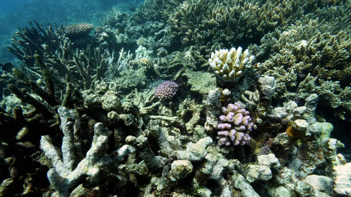
A poluição marinha e a pesca excessiva são ameaças a este ecossistema, assim como a destruição da costa e o aumento da temperatura do mar.
Por isso, com vista à proteção dos recifes de coral, os países e organizações que fazem parte da ICRI querem arrecadar 12 mil milhões de dólares, o equivalente a cerca de 11,5 mil milhões de euros, em investimentos públicos e privados.
No entanto, os especialistas alertam que o dinheiro seria apenas "uma gota no oceano" e que é preciso eliminar outros riscos climáticos.
Marian Wong, professora na Universidade de Wollongong, na Austrália, considera que, apesar do financiamento ser uma "boa notícia, o maior risco é o aumento da temperatura.
"As ameaças são muito graves, especialmente quando nos dirigimos para outro “El Niño”, aponta.
A Iniciativa Internacional dos Recifes de Coral, que foi criada em 1994 e inclui 45 países, pretende garantir o futuro de 125 mil quilómetros quadrados de recifes de coral tropicais em águas rasas e duplicar, até ao final da década, as áreas sob proteção. Além disso, quer acelerar a restauração de recifes danificados.
Os ecossistemas de coral sustentam um quarto das espécies marinhas do mundo.
